Council Meeting
on
Monday 24 June 2024 at 7.00pm
Held in the
Council Chamber
Nunawading Civic Centre
Meeting opened at 7.00pm
Present: Cr Denise Massoud Mayor
Cr Andrew Davenport Deputy Mayor
Cr Blair Barker
Cr Raylene Carr
Cr Prue Cutts
Cr Mark Lane
Cr Tina Liu
Cr Amanda McNeill
Cr Andrew Munroe
Cr Ben Stennett
Officers: Simon McMillan Chief Executive Officer
Stuart Cann Director Corporate Services
Jeff Green Director City Development
Lisa Letic Director Community Services
Siobhan Sullivan Executive Manager Transformation
Steven White Director Infrastructure
Vivien Ferlaino Manager Governance and Integrity
Kerryn Woods Coordinator Governance
Alex Wintle Council Business Officer
|
Recording of Meeting and Disclaimer
Please note every Council Meeting (other than items deemed confidential under section 3 (1) of the Local Government Act 2020) is being recorded and streamed live on Whitehorse City Council’s website in accordance with Council's Live Streaming and Recording of Meetings Policy. A copy of the policy can also be viewed on Council’s website.
The recording will be archived and made publicly available on Council's website within 48 hours after the meeting on www.whitehorse.vic.gov.au for a period of three years (or as otherwise agreed to by Council). Live streaming allows everyone to watch and listen to the meeting in real time, giving you greater access to Council debate and decision making and encouraging openness and transparency.
All care is taken to maintain your privacy; however, as a visitor in the public gallery, your presence may be recorded. By remaining in the public gallery, it is understood your consent is given if your image is inadvertently broadcast.
Opinions expressed or statements made by individual persons during a meeting are not the opinions or statements of Whitehorse City Council. Council therefore accepts no liability for any defamatory remarks that are made during a meeting. |
Council Meeting Minutes 24 June 2024
TABLE OF CONTENTS
3 Disclosure of Conflicts of Interest
4 Confirmation of Minutes of Previous Meeting
8.1 Establish an Off-Leash Dog Park in Box Hill Gardens
10.1 Adoption of 2024/25 Budget
10.2 Suburban Rail Loop - Council Submission to Draft Key Directions
10.3 Adoption of Whitehorse City Council Governance Rules
10.4 Part Road Discontinuance 5 Beresford Street, Mont Albert
10.5 Melbourne East Region Sport and Recreation Fair Access Policy
10.6 Strategic Internal Audit Plan 2024-26 (2024-25 Focus)
10.7 Records of Informal Meetings of Councillors
11 Councillor Delegate and Conference / Seminar Reports
11.1 Reports by Delegates and Reports on Conferences / Seminars Attendance
1 Welcome
|
We give thanks, O God, for the Men and Women of the past whose generous devotion to the common good has been the making of our City. Grant that our own generation may build worthily on the foundations they have laid. Direct our minds that all we plan and determine, is for the wellbeing of our City. Amen. |
|
Whitehorse City Council acknowledges the Wurundjeri Woi-wurrung people of the Kulin Nation as the Traditional Owners of the land we are meeting on and we pay our respects to their Elders past, present and emerging and Aboriginal and Torres Strait Islanders from communities who may be present today. |
Cr Skilbeck was an apology at the meeting.
3 Disclosure of Conflicts of Interest
Nil
4 Confirmation of Minutes of Previous Meeting
Minutes of the Council Meeting 27 May 2024
|
Moved by Cr Lane, Seconded by Cr McNeill That the minutes of the Council Meeting 27 May 2024 be confirmed. |
6.1 A Brook, Box Hill – Item 8.1 Establish an Off-Leash Dog Park in Box Hill Gardens
6.2 M Li, Box Hill North – Item 8.1 Establish an Off-Leash Dog Park in Box Hill Gardens
6.3 C Cen, Box Hill – Item 8.1 Establish an Off-Leash Dog Park in Box Hill Gardens
6.4 G Buchanan, Box Hill Brickworks Parkland Association – Item 10.2 Suburban Rail Loop - Council Submission to Draft Key Directions
6.5 A Morris, Blackburn – Cricket net planned for construction at Kalang Park, Blackburn
6.6 S Berg, Blackburn – Cricket net planned for construction at Kalang Park, Blackburn
7 Public Question Time
Question 1
Why doesn't the Whitehorse City Council enable the customer satisfaction survey to be completed online by any resident within the City of Whitehorse?
Response
The Customer Satisfaction Survey is conducted via Computer Assisted Telephone Interviewing to ensure a random, representative sample of residents aged 18+. This method maintains the demographic balance required for accurate insights. Conducting it online would risk non-Whitehorse participation as well as non-random participation, affecting reliability and representation.
It is important to note the Community Satisfaction Survey isn’t the only way Council receives feedback on its customer service. Residents are encouraged to provide feedback anytime via the 'Contact Us' page on the Council’s website and via Snap Send Solve surveys. In 2024, Council is also undertaking an additional customer service survey which will ask customers who have contacted Council in the 3 months prior to evaluate the service received. We anticipate receiving the results by mid-July 2024.
Question 2
Can the council provide some transparency in how the independent market research vendor performed the customer satisfaction survey ending March 2024? E.g. how many residents or businesses participated? What method was used to select the residents or businesses?
Response
The 2024 Community Satisfaction Survey was conducted across four quarters from 1st June 2023 to 18th March 2024 via Computer Assisted Telephone Interviewing and involved 501 residents aged 18+ in the City of Whitehorse.
The survey sample matched the demographic profile of Whitehorse City Council based on the latest Australian Bureau of Statistics estimates. Phone records, including up to 60% mobile numbers, were sourced from an accredited supplier to cater to the diversity of residents within Whitehorse. Gender and age quotas were applied during fieldwork, with post-survey weighting undertaken to ensure accurate representation of our council area's demographics.
Wherever appropriate, results for Whitehorse City Council Community Satisfaction Survey were then compared against other participating councils in the Metropolitan group and on a state-wide basis.
7.2 K Cummings, Whitehorse Ratepayers and Residents Association
Question 1
Given that there has only been 4 days effective notice of the Whitehorse Council Budget, why have residents and ratepayers been allocated such a minimal amount of time to evaluate such a large and important document prior to its being considered by Council?
Response
The Annual Budget is strongly informed by the Whitehorse Community Vision 2040 and Council Plan – both developed in strong partnership with our community.
We have listened to community feedback and shifted focus of the Annual Budget engagement to the beginning of the budget process, providing residents with an opportunity to voice their priorities for the budget prior to its development. Engagement is conducted in accordance with Council’s Community Engagement Policy and the Local Government Act.
Learnings from previous budget engagement suggests that engaging with the community after the budget has been prepared allows minimal opportunity for change or input by the community.
In September/October 2023 Council undertook its 2024/25 Annual Budget engagement that included a prioritisation survey and 6 live pop ups sites across the municipality. We also included an option called ‘have we missed anything’ where community members could enter responses or upload a document to include items for consideration.
The engagement program ran for 4 weeks and we received 328 community responses that were used to understand community priorities and shape the annual budget.
This comprehensive, earlier engagement process ensures Council is better informed of residents’ priorities within the context of the Council Plan prior to the development of the budget.
The agenda papers that included the Budget document was published on Council’s website in accordance with standard practice.
7.3 K Earl, Box Hill
Question 1
As we read in the paper this morning, vicinity has been approved, as this seem to be a decision made in the last couple of weeks, what is happening to the location of the parks and building and the out come of 3-4% open space payments and other contributions?
As this decision will over ride the SRLA current planning, will council be making a report available to the public on the final out come, including the panels report to the minister. along with councils comments on how that might effect people of Box Hill, being that it will be development over 15 years?
Response
Council is yet to be advised on the Minister for Planning’s decision on Amendment C245 and has not received the Standing Advisory Committee report that assisted the Minister in her decision.
8.1 Establish an Off-Leash Dog Park in Box Hill Gardens
1. A petition requesting that the Council establish an off-leash dog park in Box Hill Gardens has been received and signed by 70 signatories in support.
2. The petition request is as follows:
“We the undersigned, request that Council; Establish an off-leash dog park in Box Hill Gardens.”
|
Moved by Cr Barker, Seconded by Cr Liu That Council: 1. Receives the petition and refers it to the Director City Development for appropriate action and response; and 2. Notifies the Head Petitioner of the outcome of this resolution. |
Nil
10.1 Adoption of 2024/25 Budget
|
Department |
Finance Director Corporate Services |
Attachment
SUMMARY
The 2024/25 Budget has been prepared in accordance with the requirements of the Local Government Act 1989 and the Local Government Act 2020. The Budget outlines the financial and non-financial resources that Council requires to achieve the strategic objectives described in the Council Plan 2021-2025.
A community engagement process was undertaken on the development of the 2024/25 Budget throughout September and October 2023. Early engagement meant Council could understand key priorities and themes valued by our community, it also provided an opportunity to check in and see if community priorities have shifted. More than 320 responses to the Budget engagement survey were received and helped guide the development of the 2024/25 budget. Council officers and Councillors collated feedback as a result of the engagement activities and reviewed all priorities and ideas received, in November 2023.
Community survey results indicate Council’s investment is in alignment with our community’s top 5 priorities. While there were many great ideas contributed, supporting the community to stay healthy and well, prioritising environmental and sustainability outcomes, investment in parks, playgrounds and open spaces, maintenance of Council’s roads, footpaths and drains, along with community safety within Whitehorse were strong priorities from the feedback given.
A summary of the key activities funded within the 2024/25 Budget, that align with the themes identified via the community engagement process, is contained within the 2024/25 Budget.
Community Groups who provided feedback for the 2024/25 Budget outside the Budget engagement process were acknowledged and formal written responses will be provided following adoption of the Budget 2024/25. Feedback received will also help inform future budget development.
This report recommends that Council adopt the 2024/25 Budget, including amendments to the Reserve Governing Principles and declares the rates and charges including “Cultural and Recreational Land properties” for the 2024/25 rating year.
|
MOTION Moved by Cr Munroe, Seconded by Cr Lane That Council: 1. Adopts the 2024/25 Budget in accordance with Section 94 of the Local Government Act 2020 and as defined by the Local Government (Finance and Reporting) Regulations 2020. 2. Adopts the amendments to the Reserve Governing Principles as detailed in the 2024/25 Budget for application of financial reserves to be applied from the 2023/24 financial year as reflected in the Budget (including 2023/24 Full Year forecast). 3. Declares the rates and charges for the 2024/25 rating year commencing 1 July 2024 and ending 30 June 2025 as detailed in the 2024/25 Budget - Section 6.2.2 in accordance with the Local Government Act 1989. 4. Declares the rate equivalent amounts for “Cultural and Recreational Land properties” in accordance with Section 4 of the Cultural and Recreational Lands Act 1963 (CRLA) as detailed in the 2024/25 Budget. 5. Resolves to include the necessary revenue adjustments to the Budget if the Federal Assistance Grant funding (Victoria Local Government Grants Commission) for 2024/25 is received prior to 30 June 2024. 6. Thanks the community members who participated in the engagement activities for the 2024/25 Budget. |
|
AMENDMENT Moved by Cr Barker, Seconded by Cr Davenport To include item 7 as follows: 7. Increases in the expenses (exclusive depreciation and amortisation) for the year be limited to the fair go rate cap of 2.75% with the subsequent reduction of ($0.77m) to be allocated to the surplus to fund future capital expenditure. The amendment was not accepted by the mover and seconder of the original motion. The Mayor put the amendment which was LOST For: Davenport, Cutts, Stennett, Barker (4) Against: Liu, Lane, Carr, McNeill, Munroe, Massoud (6) |
|
The Mayor put the substantive motion which became the council resolution as follows: |
|
Council Resolution Moved by Cr Munroe, Seconded by Cr Lane That Council: 1. Adopts the 2024/25 Budget in accordance with Section 94 of the Local Government Act 2020 and as defined by the Local Government (Finance and Reporting) Regulations 2020. 2. Adopts the amendments to the Reserve Governing Principles as detailed in the 2024/25 Budget for application of financial reserves to be applied from the 2023/24 financial year as reflected in the Budget (including 2023/24 Full Year forecast). 3. Declares the rates and charges for the 2024/25 rating year commencing 1 July 2024 and ending 30 June 2025 as detailed in the 2024/25 Budget - Section 6.2.2 in accordance with the Local Government Act 1989. 4. Declares the rate equivalent amounts for “Cultural and Recreational Land properties” in accordance with Section 4 of the Cultural and Recreational Lands Act 1963 (CRLA) as detailed in the 2024/25 Budget. 5. Resolves to include the necessary revenue adjustments to the Budget if the Federal Assistance Grant funding (Victoria Local Government Grants Commission) for 2024/25 is received prior to 30 June 2024. 6. Thanks the community members who participated in the engagement activities for the 2024/25 Budget. For: Liu, Lane, Carr, Cutts, McNeill, Munroe, Massoud (7) Against: Davenport, Stennett, Barker (3) Carried |
The Budget 2024/25 is mandated by legislation and regulation and the document has been developed with reference to the Local Government Model Budget format, which is prepared by Local Government Victoria each year. Hence Whitehorse City Council’s draft Budget meets all legislative requirements.
The 2024/25 Budget has been prepared with reference to Council’s long term financial plan, which is aimed at creating a sustainable fiscal environment to enable Council to continue to provide the community with high quality services and infrastructure into the medium and long term.
Council’s rate rise for 2024/25 will be consistent with the Victorian Government rate cap at 2.75% in line with advice from the Essential Services Commission. The rate increase continues to remain below the level of inflation.
The 2024/25 Budget includes amendments to Council’s Reserve Governing Principles for the Development Reserve. The Development Reserve will continue to provide funding or part funding for major capital projects that support the strategic objectives of the Council Vision and Council Plan but will no longer receive funds from the sale of assets and interest generated annually.
Under “Principles of application” revised application of funding splits is included for Reserve funded Capital improvement projects - Major Projects (Recreation) (Attachment 1: Table 1 Appendix D).
For further information on the reserve principles please refer to Appendix D –
Council’s Reserve Governing Principles in the Budget 2024/25 document (Attachment 1).
Strategic Alignment
This report aligns to the following strategy in the Council Plan 2021-2025: Strategic Direction 1: An innovative Council that is well led and governed.
Policy
The proposed Budget has been prepared in accordance with Council policies and the Victorian Government’s rate capping legislation. Community engagement on the Budget 2024/25 has been conducted in accordance with the Whitehorse Community Engagement Policy.
background
The 2024/25 Budget (plus three subsequent financial years) has been prepared in accordance with the requirements of Sections 94 and 96 of the
Local Government Act 2020, and is in line with the Victorian Government’s
rate cap for 2024/25.
The 2024/25 Budget is a four-year plan that outlines the financial and non-financial resources that Council requires to achieve the strategic objectives described in the Council Plan 2021-2025. It has been prepared with reference to Council’s long term financial plan, which is aimed at creating a sustainable fiscal environment to enable Council to continue to provide the community with high quality services and infrastructure into the medium and long term.
The 2024/25 Budget includes detailed budgeted financial statements (income statement, balance sheet, cash flow statement, capital works) and
accompanying notes, detailed listing of the capital works program, other matters required under the Local Government Act 1989 & 2020 and regulations relating to Rates and Charges, and the Schedule of Fees and Charges.
Discussion and Options
The 2024/25 Budget is a balanced and financially responsible budget and demonstrates our ongoing commitment to financial sustainability and transformation. It was developed in a challenging economic environment with cost of living and inflationary pressures impacting Council as well as our community.
The operational surplus for 2024/25 is predicted to be $14.7 million. The result is based on revenue of $236 million and expenses of $221 million. A further $46 million is proposed to be spent on capital works, including $7 million on projects carried forward and funded from 2023/24.
The $221 million operational budget outlines the services and initiatives that Council plans to deliver in 2024/25 and the funding and resources required. It also includes continued investment in Council’s transformation program.
A projected rate increase of 2.75% per cent in line with the Victorian Government’s Fair Go Rates System will help fund the extensive Capital Works Program and ensures ongoing delivery of Council’s high-quality services and programs.
KEY HIGHLIGHTS OF THE BUDGET
The key components of the 2024/25 Budget are highlighted as follows:
Operational Budget
An operational budget that provides $180 million for the delivery of services to the community including:
· $25.70 million Kerbside and Public Waste Services
· $16.11 million Parks and Natural Environment (maintenance of sports fields, parks and gardens)
· $15.20 million Leisure and Recreation Services
· $12.12 million Health and Family Services
· $11.66 million City Services (maintenance of footpaths, drains and roads, sustainability and depot operations)
· $10.71 million Whitehorse Recycling and Waste Centre
· $9.94 million Community Safety (Community laws, parking, school crossings and emergency management)
· $8.84 million City Planning and Development
· $7.76 million Arts and Cultural Services
· $7.18 million Engineering and Investment
· $6.05 million Libraries
· $5.11 million Project Delivery and Assets
· $2.19 million Community Engagement and Development
· $1.07 million Positive Ageing
· $0.56 million Major Projects
Capital Works Program
The $46 million Capital Works Program includes:
· $10.67 million for land, buildings and building improvements
· $7.33 million for plant and equipment
· $7.10 million for roads, bridges and off streetcar parks
· $9.44 million for recreational, leisure and community facilities
· $5.13 million for footpaths and cycleways
· $3.77 million for parks, open space and streetscapes
· $2.47 million for drainage improvements
Key highlights of the 2024/25 Capital Works Program include $3.03 million in pavilion upgrades, $2.91 million for surface and lighting upgrades to the Elgar Park North East Oval, $1.80 million for sports field ground renewal at East Burwood South Oval, and $1.37 million to continue the Box Hill City Oval major redevelopment.
Other significant operational initiatives for 2024/25 include:
· Continued focus on review, planning and continuous improvement in service delivery;
· Embedding a new “best value” focus within the procurement of goods, services and works, and contract management;
· Enhanced focus on customer experience improvements through technology changes addressing pain points;
· Continuation of the Strategic Property Program which will inform Council decisions and community consultation;
· Development of Open Space Master Plans that will guide the planning, design and development of key open space sites across Whitehorse, so they can be shared and enjoyed by everyone for a diverse range of purposes;
· Implementation of the Urban Forest Strategy, which will deliver key actions to better protect, enhance and connect Whitehorse’s natural assets;
· Implementation of the Integrated Water Management Strategy actions, which aims to reduce our dependence on drinking water to sustain our parks and gardens;
· Enhanced sportsfield surface maintenance activities to enable safe and effective playing surfaces for community sport.
FEES AND CHARGES
Fees and charges have been reviewed with consideration of several influencing factors including full costs, market comparison and an emphasis on accessibility, equity and social justice considerations. The 2024/25 Fees and Charges will achieve a budgeted income of 6.5% higher than the 2023/24 forecast, primarily due to:
· Aqualink Box Hill indoor pool closure for tile rectification works in 2023/24;
· A full year of operation budgeted for The Round, with the redeveloped facility opening in September 2023;
· Increased user fee income at the Recycling and Waste Centre compared to the 2023/24 forecast, with current year estimates impacted by reduced capacity to transport material to landfill mainly due to traffic congestion at landfill sites.
A number of fees and charges are set by other levels of government regulation (statutory) and are not subject to discretionary change by Council. Statutory fees will be changed by Council when advised of a change by the relevant authorities. These are clearly identified in the schedule of fees and charges.
KEY PRESSURES AND CHALLENGES
In preparing the Budget 2024/25, a number of external and internal influences have been taken into consideration because they are likely to impact significantly on the services delivered by Council in the Budget period. These include:
· The Victorian Local Government Grants Commission (VLGGC) recently provided indicative estimates of the 2024-25 grant allocations for each Victorian council based on the information in the Federal Budget and population estimates recently released by the Australian Bureau of Statistics. To date, Council has not received any information on the amount or the timing of the payment, including any early or “brought forward” payment.
For the purposes of the 2024/25 Budget, it has been assumed that the 2024/25 grant allocations will be paid in 2024/25. Should any early payment be received in 2023/24, the final budget will be updated to reflect this change.
· In December 2023 the Minister for Local Government made Good Practice Guidelines for Service Rates and Charges. The new Guidelines are the first of their kind and were provided to councils on 22 December 2023, to be effective from 1 March 2024. The Minister provided advice on 5 March 2024 acknowledging that some councils may require more time than the next budget cycle (2024/25) to comply with the Guidelines and expect that they will demonstrate a pathway for compliance in future budgets. On 15 April 2024 a resolution at the Council meeting was carried that noted the impact of the Guidelines on Council’s financial position and that Council will advocate for changes to the Guidelines that minimise the impact on Council’s financial position.
· The cost of waste and recycling continues to rise as a result of the Victorian Government waste levy increases and increasing volumes of waste and recyclable materials collected, with the waste levy set to increase by 2.7% in 2024/25. On 7th May 2024, the State Government announced a further 27.9% increase in the waste levy in 2025/26, the impact of which will be considered in future budget setting.
· The cost of processing co-mingled recyclable materials has also risen from 2023/24 to 2024/25, with significant operational costs increases and increases associated with regulatory changes to both the local and international recycling markets, somewhat offset by new revenue from Victoria’s Container Deposit Scheme (CDS).
· The State Government Fire Services Property Levy (FSPL) will continue to be collected by Council on behalf of the state government under the Fire Services Property Levy Act 2012. In 2024/25, the FSPL fixed and variable rate will increase, with the FSPL variable rate almost doubling for general residential properties from the current rate of 4.6 cents to 8.7 cents per $1,000 of capital improved value.
· Inflationary pressures and supply issues continue to pose significant challenges to businesses, households, and economies worldwide in 2024. As in previous years, Council did not apply for a variation to the rate cap for the 2024/25 budget, which means increasing costs will need to be absorbed. Construction and other costs continue to increase significantly faster than the rate cap, presenting on ongoing challenge in accurately predicting costs for the 2024/25 Capital works program.
· On 31 March 2024, a number of changes to Victoria’s Workcover Scheme came into effect, including changes to mental injury eligibility, changes to the second entitlement review, and improvements to the way the Workcover scheme operates. These new changes will help to ensure that Victoria’s WorkCover scheme is sustainable and fit for purpose. The 2024/25 budget reflects an estimated increase in WorkCover premium.
· Cost shifting by other levels of government. Cost shifting occurs where local government provides a service to the community on behalf of the State or Federal Governments. Over time, the funds received by Council do not increase in line with real cost increases. Examples of services that are subject to cost shifting include school crossing supervision and library services.
· Changing demographics as a result of an ageing and increasingly culturally diverse population resulting in the need for Council to develop facilities which are accessible and adaptable to inter-generational, diverse and multicultural community users.
· Community expectations for Council to be a leader in environmental sustainability by planning for the effects of climate change, education and awareness of the benefits of trees and natural bushland and supporting the community in protecting and enhancing our natural assets and open spaces.
· Impact of market competition particularly in relation to other childcare centres and leisure facilities in the local region.
· Interest rates have increased during the 2023/24 year resulting in favourable returns on Council’s investments. Council’s ability to generate earnings on cash and investments is expected to remain consistent in 2024/25, with an average interest rate on investments of 4.5% assumed for the upcoming financial year.
· Whitehorse is the location of two Victorian Government Big Build Projects - the Suburban Rail Loop (SRL) and North East Link (NEL). While both projects come with opportunities, Council needs to invest time and expertise to ensure that we professionally assess the impacts of the projects, and work with and advocate to the State Government to mitigate any negative impacts on local communities whilst ensuring the maximum benefits of the projects are realised. Council seeks to strongly advocate for local businesses, landowners, homeowners, sport and community groups being disrupted.
· The cost of maintaining Council’s infrastructure assets. The challenge is balancing the demand for new infrastructure, while maintaining or upgrading existing assets to ensure that infrastructure assets are provided to support services that are appropriate, accessible, responsive and sustainable to the community. Given the significant value of Council’s asset base, renewal investment forms a major component of the capital works budget.
· Council’s Collective Agreement 2022 was approved by the Fair Work Commission in July 2022 and applies for the period 27 July 2022 to 27 July 2025. The 2024/25 Budget allows for an annual increment in line with the 2024/25 rate cap and Council’s Collective Agreement 2022. The compulsory Superannuation Guarantee Scheme (SGC) will also increase from 11.00% to 11.50%.
· Council has an ongoing obligation to fund any investment shortfalls in the Defined Benefits Scheme. The last call on Local Government was in the 2012/13 financial year. The amount and timing of any liability is dependent on the global investment market. At present the actuarial ratios are currently at levels that additional calls are not required. Council officers continue to monitor regularly.
SUPPORTING REPORT DETAILS
Legislative and Risk Implications
The 2024/25 Budget (plus three subsequent financial years) has been prepared in accordance with the requirements of Sections 94 and 96 of the Local Government Act 2020 and Local Government Planning and Reporting Regulations 2020.
There are no legal or risk implications arising from the recommendation contained in this report.
Equity, Inclusion, and Human Rights Considerations
In developing this report to Council, the subject matter has been considered in accordance with the requirements of the Charter of Human Rights and Responsibilities Act 2006.
It is considered that the subject matter does not raise any human rights issues.
Fees and Charges have been reviewed in line with Council’s Gender Equity responsibilities and where necessary, a Gender Impact Assessment has been undertaken during their development.
Community Engagement
Community engagement on the 2024/25 Budget has been conducted in accordance with Council’s Community Engagement Policy and in accordance with the Local Government Act 2020. The Budget engagement process consisted of an online survey administered to the community via Your Say Whitehorse from 25 September to 20 October 2023, plus six live pop-up sites across the municipality, including at Spring Festival.
The consultation listed 12 key Council service areas and asked respondents to choose the top five they would like prioritised in the 2024/25 budget. Also included was a section called ‘have we missed anything’, where community members could enter open text responses or upload a document.
More than 320 responses to the Budget engagement survey were received, that helped to guide the development of the 2024/25 budget. Council officers and Councillors collated feedback as a result of the engagement activities and reviewed all priorities and ideas received, in November 2023. Early engagement meant Council could identify important themes and make informed decisions as the budget development progressed.
The top five themes to emerge for the 2024/25 budget were:
• Health & Family Services
• Parks, Playgrounds & Open Spaces
• Sustainability, Waste & Recycling
• Roads, Footpaths & Drains
• Community Safety
A summary of the key activities funded within the 2024/25 Budget, that align with the themes identified via the community engagement process, is contained within the 2024/25 Budget (Attachment 1).
Community Groups who provided feedback for the 2024/25 Budget outside the Budget engagement process were acknowledged and formal written responses will be provided following adoption of the Budget 2024/25. Feedback received will also help inform future budget development.
Financial and Resource Implications
The 2024/25 Budget incorporates the Annual Plan, Operating Budget, and Capital Works Program, and details the resources required to deliver on the final year of the Council Plan 2021-2025.
Innovation and Continuous Improvement
The operating environment for Victorian Local Government continues to change significantly and in response, Whitehorse City Council continues to undertake organisation transformation. Transformation aims to ensure Council continues to meet the needs and expectations of our community.
The Transformation Program in 2024/25 builds on previous years of effort to:
· Balance investment decision making with long term financial sustainability.
· Systematically review all of Council's services over time.
· Expand our continuous improvement program and approach to deliver sustained financial and customer benefits.
· Invest in technology and systems to improve customer experience.
· Build and sustain a great organisational culture which puts community at the heart of what we do.
The priorities for 2024/25 included within the 2024/25 Budget are summarised per the following:
Improved Customer Experience
At the heart of the Transformation Program is the objective to enhance customer experiences. This will involve making changes to our services by prioritising the needs and preferences of our customers and incorporating these into our processes alongside technological advancements. This year, our focus will be on several key areas:
· Developing and implementing capabilities, processes, and practices that prioritise the needs of our customers.
· Establishing a sustainable program that consistently gathers, analyses, and utilises customer feedback to continually improve our services.
· Cultivating a strong organisational culture that emphasises the importance of prioritising customer values in our process design.
· Integrating human-centered design principles into our technology transformation projects.
· Documenting customer processes and implementing changes for visible value.
Technology Transformation
The Technology Transformation Program is making technology better so that customers have a smoother experience, services run more efficiently, and cyber security stays strong. This year, we will focus on a few key things:
· Replacing old technology systems that are no longer supported or outdated.
· Making changes to improve how we handle data, so we can turn it into useful insights.
· Keeping our cyber security strong and finding ways to make it even better.
· Lowering the risks and controlling costs for keeping our technology running smoothly.
Service Reviews
Service reviews are detailed assessments of the services provided by the Council. They analyse the current methods and reasons behind them. These reviews are conducted by independent facilitators who then suggest recommendations for how to improve and handle things differently in the future.
Enterprise Change Management
The Transformation program is making changes to help reach our objectives. The Enterprise Change Management practice is putting in place the skills, knowledge, and structures in the organisation needed to make these changes stick. It's important to make sure projects achieve change that is sustained.
Strategic Property Program
Continuation of the current funding for the strategic property program will seek community input into a new strategic property framework and roadmap. It will also deliver a library asset business case.
Continuous Improvement Program
Also embedded within the 2024/25 Budget are the benefits from Council’s Continuous Improvement Program. Council’s Continuous Improvement Program provides a consistent customised methodology which supports our culture of continuous improvement to deliver reportable benefits for our community.
Collaboration
The 2024/25 Budget, which includes the development of operating and capital budgets for the 2024/25 year, has been developed over a series of briefings with Councillors and each Council department.
Conflict of Interest
Council officers involved in the preparation of this report have no conflict of interest in this matter.
Conclusion
This report recommends that Council adopt 2024/25 Budget in accordance with the Local Government Act 1989 & 2020.
Attachment
1 2024-25 Budget
10.2 Suburban Rail Loop - Council Submission to Draft Key Directions
|
Department |
City Planning and Development Director City Development |
Attachment
SUMMARY
The purpose of this report is to consider Council’s submission regarding the Suburban Rail Loop (SRL) Draft Key Directions.
In April 2024 the Suburban Rail Loop Authority (SRLA) released Draft Key Directions for the six new SRL stations, including Box Hill and Burwood. Submissions on the Draft Key Directions close on 30 June 2024.
The SRLA has proposed a set of key directions for the broader precinct around each station that are intended to address current and emerging challenges and meet the demand for greater housing choice and the needs of a growing population.
The Draft Key Directions are an important step in the process leading to the next stage, which is the release of the final Visions and Draft Precinct Structure Plans (PSP).
This report highlights some key elements in Council’s draft submission in response to the Draft Key Directions for Box Hill and Burwood. The full draft submission is in Draft Council Submission.
|
MOTION Moved by Cr Liu, Seconded by Cr Davenport That Council: 1. Notes the Suburban Rail Loop East Draft Key Directions for the Box Hill and Burwood precincts; 2. Endorses the submission to the Suburban Rail Loop Authority regarding the draft Key Directions; and 3. Seeks a detailed report from the Suburban Rail Loop Authority in response to Council’s submission and community feedback to the Draft Key Directions and request that this be provided to Council at least two weeks prior to the release of the final Visions and draft Structure Plan for Box Hill and Burwood. |
|
AMENDMENT Moved by Cr Barker, Seconded by Cr Davenport To include item 4 as follows: 4. Writes to the Premier of Victoria, The Hon. Jacinta Allan MP; the Treasurer of Victoria, Mr Tim Pallas MP; and the Minister for the Suburban Rail Loop, The Hon. Danny Pearson MP a) advising that, whilst Council has in-principle support for the concept of value capture outlined in the Suburban Rail Loop Business and Investment Case, there are concerns for impacted residents and landowners that have limited capacity to pay significant new costs, noting that this includes residents on fixed incomes, such as pensioners, and landowners, such as not for profit organisations; and b) requesting that the State Government disclose details of all proposed taxes, levies and contributions associated with the funding and delivery of the Suburban Rail Loop. The amendment was accepted by the mover and the seconder and became the substantive motion. The Mayor put the substantive motion which became the council resolution as follows: |
|
Moved by Cr Liu, Seconded by Cr Davenport That Council: 1. Notes the Suburban Rail Loop East Draft Key Directions for the Box Hill and Burwood precincts. 2. Endorses the submission to the Suburban Rail Loop Authority regarding the draft Key Directions; and 3. Seeks a detailed report from the Suburban Rail Loop Authority in response to Council’s submission and community feedback to the Draft Key Directions and request that this be provided to Council at least two weeks prior to the release of the final Visions and draft Structure Plan for Box Hill and Burwood. 4. Writes to the Premier of Victoria, The Hon. Jacinta Allan MP; the Treasurer of Victoria, Mr Tim Pallas MP; and the Minister for the Suburban Rail Loop, The Hon. Danny Pearson MP: a) advising that, whilst Council has in-principle support for the concept of value capture outlined in the Suburban Rail Loop Business and Investment Case, there are concerns for impacted residents and landowners that have limited capacity to pay significant new costs, noting that this includes residents on fixed incomes, such as pensioners, and landowners, such as not for profit organisations; and b) requesting that the State Government disclose details of all proposed taxes, levies and contributions associated with the funding and delivery of the Suburban Rail Loop. |
Key Matters
The key matters relevant to this report are:
· The SRLA has released Draft Key Directions for each station precinct and is inviting feedback until 30 June 2024.
· The Draft Key Directions are Boosting the economy, Enriching community, Better connections, Enhancing place and Empowering sustainability.
· There is limited detail or background information accompanying each Key Direction.
· Council’s draft submission (Attachment 1) responds to the Draft Key Directions for Box Hill and Burwood and raises areas of support as well as concern and highlights the following:
- Absence of supporting information
- Little consideration for existing Council strategies
- Lack of detail about community infrastructure
- No information about built form and design to accompany the proposed building heights
- Concern about implementation mechanisms
· The SRLA has undertaken community engagement activities to encourage feedback about the draft Key Directions. Given the significance of the SRL project, Council has also raised awareness within the Whitehorse community to encourage feedback.
· Despite requests, no report was made available prior to the release of the Draft Key Directions about the community engagement results from the previous project phases. This has made it difficult to know what, if any, influence community feedback is having on the PSP process, including this Draft Key Directions phase.
· Officers continue to have discussions with the SRLA about the PSP process and will update Council as necessary.
Strategic Alignment
The Council Plan calls for advocacy about transport, health, environmental, economic, social and wellbeing improvements. Preparing a submission regarding the Draft Key Directions contributes towards these advocacy actions.
Policy
Extensive information has been provided to the SRLA regarding Council documents relevant to the SRL project, including existing and draft structure plans.
The documents are based on robust community engagement and the SRLA should consider them as a reflection of community views.
background
The SRLA commenced the PSP process with the release of the ‘Precinct Discussion Paper’ for each of the six station precincts along the SRL East project from Cheltenham to Box Hill in August 2023.
Council considered a report regarding the Discussion Paper at its meeting on 23 October 2023 and endorsed a submission that was subsequently lodged with the SRLA. While a verbal briefing was provided by the SRLA representatives to Councillors on 30 January 2024, no formal response to Council’s previous submission has been received.
The draft Precinct Visions for Box Hill and Burwood were released for public comment in December 2023. Council endorsed a submission regarding the Precinct Visions at its meeting on 26 February 2024 and lodged with the SRLA. No formal response to Council’s submission has been received.
The Draft Key Directions were released on 28 April 2024 for public comment until 30 June 2024.
Discussion and Options
The release of the Draft Key Directions is the next step in developing the Precinct Plans around each of the SRL stations. The Draft Key Directions can be found online at https://www.srleastvisions.com.au/
Each of the six station precincts have the same key direction themes:
· Boosting the economy
· Enriching community
· Better connections
· Enhancing place
· Empowering sustainability
The following outlines the Draft Key Directions for Box Hill and Burwood prepared by the SRLA:
|
|
Box Hill |
Burwood |
|
Boosting the Economy |
· Ensure the Box Hill Precinct will have enough office space to accommodate significant employment growth, especially near to the centre. · Ensure sustainable growth of health and education services in the Precinct. · Extend activity and services right across the Precinct to support local living. · Concentrate retail and entertainment uses in and around the Precinct Centre to support a vibrant and culturally diverse place. |
· Support and facilitate the growth of Deakin University’s Burwood Campus. · Create a mixed-use Precinct Centre around the SRL train station. · Transform Burwood Highway and Highbury Road into areas with more retail and businesses. · Create a network of high-amenity knowledge-based employment areas. |
|
Enriching community |
· Ensure community infrastructure supports the needs of residents and workers. · Provide greater housing diversity to support local living. |
· Ensure community infrastructure supports the needs of residents and workers, including multi-purpose hubs. · Introduce greater housing diversity. |
|
Better connections |
· Reinforce existing strategic traffic corridors to direct private vehicles outside of the Precinct Centre · Create a compact, urban centre that prioritises walking and cycling. · Improve access and connectivity long Whitehorse Road. · Enhance walking experience along Station Street. · Enhance the transport interchange’s functionality and connectivity. · Support public transport and active travel choices to reduce reliance on private vehicles. |
· Investigate improving walking, cycling and biodiversity connections along Gardiners Creek (KooyongKoot). · Create a world class and well-integrated public transport interchange. · Upgrade and connect transport routes, as well as improve walking and cycling paths. · Support public transport and active travel choices to reduce reliance on private vehicles. |
|
Enhancing place |
· Identify opportunities for enhanced and new open space. · Support growth by encouraging change in targeted locations. · Enhance the open space network and make it more accessible |
· Identify opportunities for enhanced and new open space. · Support growth by encouraging change in targeted locations. · Manage stormwater better to improve water quality and support a greener environment. |
|
Empowering sustainability |
· New buildings should use sustainable practices such as lower carbon material and include renewable energy in their design. · Future proof the precinct and plan for new energy technologies. · Create a cool and green environment. · Embed sustainable water management. |
|
No further explanation or rationale has been provided by the SRLA to assist in understanding the draft Key Directions. The Authority provided a map for the first four Key Directions (Attachment 2), and an image for the final Key Direction.
From the maps provided, it appears that the SRLA has focussed mostly on future building heights to underpin the Enhancing Place theme, but with comparatively limited moves proposed for the other four themes. The SRLA’s proposed building heights and intensity in traditional residential areas within the precincts anticipates significant growth and change because of the SRL project.
The following provides a snapshot of issues covered by Council’s submission:
· Absence of supporting information:
The Draft Key Directions do not include any supporting information for delivery of the Key Directions (timing, responsible authority, funding) beyond the high-level statements.
· Current strategies:
The SRLA has been provided with all the existing and draft structure plans and other relevant strategic documents applicable to the PSP areas, however, there appears to be little consideration given for the existing strategic work in the draft Key Directions.
· Community infrastructure:
There is an absence, at this stage, of substantial information regarding community infrastructure to meet the needs of the projected population, such as additional open spaces, new schools, and service infrastructure (e.g., drainage, new and or upgrades to roads, intersections). There is particular concern about the impact of the forecast population on the need for new education facilities, from kindergarten to secondary schools, and on the provision of open space.
· Built form and building heights:
There is a focus on expression of building heights, but no information about built form and design, place identity or recognition of the heritage values in either precinct. The proposed building heights for Burwood are considered to be inappropriately high, particularly along the Gardiners Creek interface and along Burwood Highway. Officers do not have any concerns with the heights proposed in the Inner Precinct Core of Box Hill given the existing Commercial 1 Zone and development approvals and expectations, however the proposed heights in various other neighbourhoods further away from the core and the transition to those areas are not supported. Officers are concerned about impacts to amenity, neighbourhood identity and character, as well as the stark juxtaposition between heights in the PSP area and towards the edge of the PSP and the surrounding residential areas.
· Implementation:
Officers believe the Key Directions need to provide a stronger implementation commitment by the SRLA and State Government. There is no mention about how the required community and development infrastructure will be funded, the timing of delivery or who will be responsible for delivering the infrastructure. There is also concern about what statutory and non-statutory mechanisms, such as zoning and built form controls, will be used to implement the Structure Plans. As an example of the concerns, many of the proposed building heights released with the Draft Key Directions do not align with the existing suite of residential zones and therefore officers query what proposed zone will be implemented.
Specific comments on the Draft Key Directions relating to Burwood and Box Hill are in the full draft submission in Attachment 1.
SUPPORTING REPORT DETAILS
Legislative and Risk Implications
The Suburban Rail Loop Act (2021) gave the Minister for SRL power to declare the areas within which PSPs are to be prepared, which are referred to as “SRL planning areas”. The Minister for SRL declared the SRL planning areas on 4 December 2023.
The SRLA became the Planning Authority under the Planning and Environment Act (1987) for the declared planning areas, which means that the SRLA can prepare the precinct structure plans and prepare and exhibit any planning scheme amendments for areas within the declared boundary. Council continues to be the Responsible Authority as well as a Planning Authority and will continue to assess planning permit applications.
Council has requested the SRLA to enter a partnership agreement to develop the Precinct Structure Plans. This could include Council officers working alongside the SRLA to provide local knowledge and feedback on the draft PSPs. Given no formal response has been provided to Council and the SRLA are well advanced in the preparation of the PSPs, there are risks that Council will not be invited to participate nor have the views it expresses in submissions genuinely considered. This brings the potential for reputational risks between the SRLA and Council, as well as risks that the project outcomes may not meet Council’s or the community’s expectations and aspirations, potentially leaving an untenable legacy for the Whitehorse community.
Equity, Inclusion, and Human Rights Considerations
In developing this report to Council, the subject matter has been considered in accordance with the requirements of the Charter of Human Rights and Responsibilities Act 2006. It is considered that the subject matter does not raise any human rights issues.
Community Engagement
The SRLA has undertaken the following community engagement activities to encourage feedback about the draft Key Directions:
· Web, social media and translated and interpreted information
· Pop-up and drop-in sessions in Box Hill and Burwood, including at Box Hill Institute, Box Hill library and Deakin University
· Meeting with community representatives such as Elgar Contact
· Flyers to households and businesses within the Box Hill and Burwood precincts.
Council has raised awareness within the Whitehorse community about the engagement activities via:
· Web, social media, and media responses
· Flyers to households and businesses within the Box Hill and Burwood precincts
· A drop-in session in Box Hill on Saturday 15 June 2024
No report was made available prior to the release of the draft Precinct Visions documents about the community engagement results from the previous phase on the draft Discussion Paper. A generic phase one engagement report was made available to the public in April 2024, just prior to the release of the draft Key Directions, which provided a very high-level summary of the engagement undertaken by the SRLA. Officers have subsequently met with the SRLA to discuss feedback on Council’s submission but are still requesting a detailed report.
Financial and Resource Implications
It is expected that Council will expend approximately $23,000 to undertake the community engagement activities associated with raising awareness within the community about the draft Key Directions. This is unbudgeted expenditure and is being managed within the approved 2023/24 Strategic Planning budget.
The community engagement activities have been resourced through officers from the Strategic Marketing and Communications Department, the Major Transport Projects Team, Strategic Planning Team and the Communities, Engagement, and Integrated Planning Department. This level of resourcing was unplanned and adjustments to day-to-day activities were made to accommodate the activities within short timeframes.
Innovation and Continuous Improvement
There are no Innovation and Continuous Improvement matters arising from the recommendation contained in this report.
Collaboration
A high level of collaboration was required between internal departments to prepare the submission. Discussions have also been held with Monash City Council representatives regarding the draft SRL Burwood Key Directions, which extends beyond Whitehorse. General collaboration regarding SRL matters continues with representatives from Monash, Kingston, and Bayside Councils.
There is an ongoing expectation that the SRLA will collaborate with Council officers and Councillors as the development of the Precinct Plans progress. Officers are disappointed about the lack of collaboration on the draft Key Directions. It is recommended that Council continue to request the SRLA to enter into a partnership agreement.
Conflict of Interest
Council officers involved in the preparation of this report have no conflict of interest in this matter.
Conclusion
Council’s proposed response to the Draft Key Directions for the Box Hill and Burwood precincts is contained in (Attachment 1). This report seeks endorsement of the submission for lodgement with the SRLA by the 30 June 2024 deadline.
SRLA’s timelines for the PSP process is below, which have shifted from the previously provided timeframes, where the PSPs were due to be exhibited in late 2024. The exhibition phase has now expanded to “late 2024 to early 2025”. Officers continue to have discussions with the SRLA about the PSP process and will update Council as necessary.

Attachment
1 Draft Council Submission
2 Draft Key Directions Maps
10.3 Adoption of Whitehorse City Council Governance Rules
|
Department |
Governance and Integrity Director Corporate Services |
Attachment
SUMMARY
Pursuant to the Local Government Act 2020 (the Act) Council is required to have a set of rules that governs the meeting procedures for Council Meetings and Delegated Committee Meetings known as the Governance Rules (Rules). Section 69 of the Act further requires that Council must incorporate an Election Period Policy in its Governance Rules.
The current Whitehorse Governance Rules were adopted on 12 December 2022 and took effect on 1 January 2023.
With a Local Government General election being held in October 2024 a review of the Rules has been undertaken to ensure they meet the needs of Council and the election process.
Changes to the Election Period Policy have been made to ensure that an appropriate level of transparent, fair and equitable guidance is provided to Councillors, candidates and Council staff in the conduct of Council business during the Election Period. As the Governance Rules must be amended to allow for updates to the Election Period Policy, the opportunity has been taken to review the Governance Rules in their entirety.
The draft Governance Rules were endorsed at the 25 March 2024
Council Meeting for community consultation. Consultation was undertaken for a
21-day period over April and May 2024 via a dedicated Your Say Whitehorse
web page where the community was given the opportunity to provide feedback via
a survey.
Feedback has been collated and considered in the context of the legislation, recommendations from the Operation Sandon Special Report, with amendments to be made to the Rules which are now presented to Council for consideration at (Attachment 1). A summary of the community feedback is included at (Attachment 2) of this report.
The State Government has introduced the Local Government Amendment (Governance and Integrity) Bill 2024 into Parliament. The Bill includes an amendment to adjust the electoral process timeline for the 2024 general elections. Should the Bill be passed, there will be impacts upon timeframes prescribed within the Election Period Policy, necessitating administrative changes to the Governance Rules.
|
Moved by Cr Lane, Seconded by Cr Carr That Council: 1. Acknowledges and thanks the submitters for completing the survey on the Whitehorse Your Say page for the review of the Governance Rules undertaken in accordance with section 60(3) of the Local Government Act 2020 (Act). 2. In accordance with Section 60(1) of the Local Government Act 2020 adopts the Whitehorse Governance Rules inclusive of the Election Period Policy incorporating changes as outlined in Attachment 1 of this report. 3. Authorises the Chief Executive Officer to make the necessary administrative changes to the Governance Rules should the provisions of the Local Government Amendment (Governance and Integrity) Bill 2024 relating to the election period be enacted. 4. Notes that the Governance Rules will come into effect on 25 June 2024 and Council’s website will be updated to reflect the revised document. |
Key Matters
· Pursuant to the Local Government Act 2020 (the Act) Council is required to have a set of rules that governs the meeting procedures for Council Meetings and Delegated Committee Meetings known as the Governance Rules (Rules). Section 69 of the Act further requires that Council must incorporate an Election Period Policy in its Governance Rules.
· The
Governance Rules were revised in early 2024. Council endorsed the draft
Governance Rules for community consultation at its meeting on
25 March 2024.
· The review the Governance Rules takes into consideration:
- The Local Government Election being held in October 2024
- Benchmarking of the Election Period Policy being undertaken with neighbouring Councils and best practice policy examples located of the Local Government Inspectorate website, this highlighted that more detail was required for better clarity and guidance.
- Recommendations from the Independent Broad-based Anti-Corruption Commission’s (IBAC) Operation Sandon Special Report.
· Consultation was undertaken during April and May 2024, with 15 submitters providing feedback and/or commentary via a Your Say Whitehorse web page survey. A total of 15 people engaged with consultation campaign.
· Full details of survey responses are included at (Attachment 2) of this report.
· In response to community, Councillor and officer feedback, amendments have been made to the Rules and are presented to Council for consideration. Immaterial changes have also been incorporated including but not limited to general formatting, punctuation, correcting typographical errors and renumbering.
The following table summarises the proposed amendments to the current Governance Rules however does not outline immaterial changes:
|
Rule |
Heading |
Details |
|
10* |
Election of Mayor
|
Changes made where there is no absolute majority the process to eliminate will include a further vote prior to final determination by lot. (Noting that a lot may still be required in certain circumstances) |
|
16* |
Notice of Meeting
|
It was proposed to remove the reference to notice of meetings in the newspaper, however details of Council meetings are included in the Whitehorse News which is generally circulated within the municipality, and this will continue. No change as originally proposed |
|
22 |
Agenda and Order of Business
|
Removal of Order of Business at sub-rule 22.2 to allow flexibility of meeting structure without requiring an update of the Governance Rules. |
|
26 |
Notice of Motion
|
Removal of sub-rule 26.5, which stipulated that Notices of Motion must be considered in the order received. |
|
30 |
Right of Reply
|
Removal of the words ‘including an amendment’ from sub-rule 30.1, as it conflicts with sub-rule 31.4(e) where the current practice provides that the mover of an amendment does not have a right of reply. |
|
37 |
Separation of motions
|
Wording added to outline that ‘voting in parts is not applicable for Rescission Motions’. Legal advice confirms that voting in parts for recission motions is not permissible. |
|
Division 8 |
Presentation
|
Renamed to ‘Public participation’ for clarity. |
|
57 |
Public presentations
|
Renamed to ‘Requests to speak’ to provide better clarity to members of the public when addressing Council. Inclusion of guidelines for ‘Requests to speak’ at 57.7. |
|
57.7* |
Public presentations |
Remove content regarding suspension and subsequent resumption of standing orders at 57.7(e). The Public presentations form part of the Council meeting and standing orders do not need to be suspended. |
|
59 |
Petitions
|
References to ‘joint letters’ has been removed as the rules for petitions and joint letters are the same. Wording at sub-rule 59.3(b) clarified to ensure that petitions contain a specific request for action Sub-rule 59.3(d) added to ensure petition request is within duties, functions and powers of Council. |
|
64 |
Voting procedure
|
New specifications at sub-rule 64.2 regarding voting procedure, including the recording of names of Councillors voting in the affirmative and negative |
|
70* |
Form and availability of minutes |
Included an additional item to record the names of each Councillor speaking to a motion. |
|
92*
|
Informal Meetings of Councillors |
Detail has been added that if there is a meeting of five or more’ Councillors a Record of Informal Meetings with Councillors form will be completed and tabled at the next convenient Council meeting. This section previously didn’t stipulate the number of Councillors that attended the meeting |
|
Election Period Policy |
||
|
94 |
Definition and Key Terms table |
A table has been included with Definitions and Key Terms |
|
98 & 99 |
Council decisions (Part B)
|
The following sections have been included under the Council Decisions heading: · Prohibited decisions · More prescriptive rules for Council meetings held during the Election Period |
|
108.3 |
Public consultation (Part D) |
Additional paragraph clarifying consultation required under the Planning and Environment Act 1987 and section 223 of the Local Government Act 1989 |
|
112 & 116 |
Council publications and media (Part E) |
Sections added to clarify: · Granting publication approval · Appropriate use of Council media services |
|
119 |
Events (Part F) |
· Additional guidance to clarify operation and publicity of Council and external events · Clarification for Mayor and/or Councillor/s in relation to attendance at events |
|
120, 121* |
Campaign Publicity
|
Rule to be deleted as campaign publicity (signage) is regulated by the adopted Whitehorse Local Law and the Whitehorse Planning Scheme. |
|
121** |
Assistance to candidates (Part G)
|
· Outline of access to information · Section added for public transparency of information requested and provided |
|
124** |
Policy Administration |
New section added |
*Rules have been changed as a result of consultation feedback
** Numbering has changed due to paragraphs in draft being deleted
Strategic Alignment
The recommendation of this report aligns with Objective 8.3 of the Council Plan 2021-2025, Good Governance and Integrity, which states:
Compliance with Council policies, legislative requirements and regulations needs to be maintained and upheld.
background
Council is required to have a set of Governance Rules that determine procedures for Council Meetings and Delegated Committee Meetings. The Governance Rules were last updated in December 2022 to allow Councillors and members of Delegated Committees to attend meetings via electronic means.
Council is required by section 69 of the Act to include an Election Period Policy in its Governance Rules prohibiting Council decisions or the use of Council resources which may influence voting during the Election Period. In the interests of good governance, the Election Period Policy should be updated within 12 months prior to a Local Government General Election.
The next Local Government General Election will be held on 26 October 2024 and the Election Period Policy has been revised accordingly. As the Election Period Policy comprises Chapter 6 of the Governance Rules, any update of the Election Period Policy requires that the Governance Rules also be updated.
The draft Governance Rules were endorsed by Council at its
meeting on
25 March 2024 for community consultation, and this was undertaken for a
21-day period during April and May 2024.
A summary of community feedback is at Attachment 1 of this report, and the proposed Governance Rules are at Attachment 2.
SUPPORTING REPORT DETAILS
Legislative and Risk Implications
· Section 60(1) of the Act requires Council to maintain a set of Governance Rules to determine procedures for Council and Delegated Committee meetings.
· Section 69 of the Act prescribes that the Governance Rules must include an Election Period Policy.
· Section 60(4) of the Act specifies that a process of community engagement must be followed in developing or amending the Governance Rules.
· Amending the Governance Rules in accordance with the recommendation contributes to the integrity of the election process.
· The Local Government Amendment (Governance and Integrity) Bill 2024 may impact some of the content of the final Election Period Policy and Governance Rules.
Equity, Inclusion, and Human Rights Considerations
Councils must not knowingly be in breach of the Charter and always consider these when creating local laws, developing policies and delivering services.
In developing this report to Council, the subject matter has been considered in accordance with the requirements of the Charter of Human Rights and Responsibilities Act 2006 The Human Rights considered are as follows:
· Section 13 - Right to privacy and reputation
As part of the public’s formal participation in a Council meeting, personal information such as name, suburb and other details is collected when a community member lodges a Public Presentation request, Public Question Time submission or Petition.
To participate in Council Meetings. names of participants and other details are required. In accordance with Privacy and Data Protection Act 2014 and Council’s Privacy Policy, collection notices on relevant pages of Council’s website outline the reasons that personal information is requested and how Council will use this information. Submitters are communicated with throughout this process.
Every Council Meeting (other than items deemed confidential under section 3 (1) of the Act) is recorded and streamed live on Whitehorse City Council’s website in accordance with Council's Live Streaming and Recording of Meetings Policy. A copy of the policy can also be viewed on Council’s website. Whilst all care is taken to maintain the privacy; of a visitor in the public gallery, their presence may be recorded. Those addressing Council may appear in the live stream.
· Section 15 - Right to freedom of expression
This right is balanced with the need standards of behaviour for the good conduct of council meetings.
Guidance is provided through criteria in Rule 57 – Requests to speak, Rule 58 - Question Time and throughout the Governance Rules around respectful and courteous freedom of expression during Council meetings.
· Section 16 - Peaceful assembly and freedom of association
Provisions in Division 13 – Behaviour and throughout the Governance Rules provide for orderly, respectful, and courteous conduct and participation. This supports all attendees.
· Section 18 - Right to take part in public life
Council Meetings encourage and support this right, in supporting this right, the rules also include procedural limitations, that are considered appropriate to the Council meeting purpose and objectives. These are balanced with the need to run effective meetings and responsibilities of employers to ensure the health and safety of all participants.
Community Engagement
Pursuant to Section 60(3) of the Local Government Act 2020 a community engagement process was undertaken on the Draft Whitehorse Governance Rules review.
Community engagement and understanding the views of the community on how Council undertake Council meetings, and the governance arrangement and meeting procedures associated with the Governance Rules is not only a legislative requirement under the Act, but very important in understanding genuine and meaningful views from the community for consideration.
The community consultation process for the Draft Rules was undertaken for 21 days during April and May 2024.
A dedicated ‘Your Say Whitehorse’ page was established, and the community were given the opportunity to provide feedback. There were 396 visits to the page, 21 participants downloaded documents and a total of 15 submitters provided feedback.
A number of comments received were not relevant to the proposed changes and were questions rather than feedback.
Financial and Resource Implications
There are no financial or resource implications arising from the recommendation contained in this report.
Innovation and Continuous Improvement
The proposed changes to the Governance Rules will improve processes for public participation in Council Meetings, and improve the level of guidance provided to Councillors, candidates and Council staff in the conduct of Council business in a transparent and equitable manner during the Election Period.
Collaboration
Benchmarking with adjoining Councils was undertaken and reference was made to the Local Government Inspectorate sample council policies.
Conflict of Interest
The Local Government Act 2020 requires members of Council staff, and persons engaged under contract to provide advice to Council, to disclose any direct or indirect interest in a matter to which the advice relates.
Council officers involved in the preparation of this report have no conflict of interest in this matter.
Conclusion
It is recommended that Council adopts the proposed Whitehorse City Council Governance Rules (inclusive of the Election Period Policy) at Attachment 1.
Attachment
1 Whitehorse City Council Governance Rules (Final)
2 Community Consultation Submissions - Draft Whitehorse City Council Governance Rules
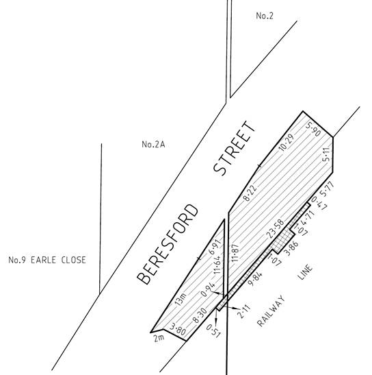
10.4 Part Road Discontinuance 5 Beresford Street, Mont Albert
|
Department |
Property and Leasing Director City Development |
Attachment
SUMMARY
Whitehorse City Council in an earlier submission to the Level Crossing Removal Project advocated to maintain the Mont Albert Station building in the same (or immediately nearby) location within the Mont Albert Village. Council also advocated for a plaza space to be constructed over the proposed railway cutting. The Mont Albert Village Plaza has been constructed and is now open to the public.
In July 2023 the refurbished and reassembled Mont Albert Station building was located on the northern entrance to the Mont Albert Village Plaza and has been assigned the street address of 5 Beresford Street, Mont Albert. The Mont Albert Station building was located over four separate land titles: with two land titles being road reserve titles, one title a freehold reserve title and one title being freehold VicTrack land. Subject to town planning approval Council proposes to lease the Mont Albert Station building to a social enterprise organisation.
However, the Mont Albert Station building is located on land that is not freehold Council land therefore Council does not have a proprietary interest in the land. Consequently, Council is unable to grant a lease until Council obtains a proprietary interest. Council can obtain freehold land for parts of the two road titles and for part of the VicTrack land by discontinuing part of the road in accordance with the Local Government Act 1989 and obtaining a separate unencumbered title. Additionally, Council can obtain the title for freehold reserve via the Corporations Act 2001.
This report recommends that Council commence a partial road discontinuance in accordance with the Local Government Act 1989 and commence the ownership transfer of the freehold reserve in accordance with the Corporations Act 2001. To preserve community access to the Mont Albert Village Plaza Council will vest a reserve via the Subdivision Act 1988.
The recommended road discontinuance will not close Beresford Street, Mont Albert to vehicle and/or pedestrian traffic.
|
Moved by Cr McNeill, Seconded by Cr Barker That Council: a) That part of Beresford Street, Mont Albert shown hatched on the Road Discontinuance Plan, being part of the land contained in certificates of title Volume 11660 Folio 936 and Volume 12075 Folio 831 (Parcel A); and b) That part of the rail corridor shown cross hatched on the Road Discontinuance Plan, being part of the land in certificate of title Volume 12075 Folio 830 (Parcel B), subject to the Level Crossing Removal Project first declaring Parcel B to be a road under the Major Transport Project Facilitation Act 2009 (Vic); and retain ownership of Parcel A and Parcel B, for inclusion within the Mont Albert Village Plaza. 2. In accordance with sections 207A and 223 of the Local Government Act 1989, gives public notice of the proposed discontinuance in The Age newspaper and on Council’s website. 3. For the purposes of appropriate community consultation and engagement, a copy of the public notice (with an appropriate explanatory letter) be sent to the owners, occupiers and users of all nearby properties and land, and being persons who, in the opinion of the Manager of Property & Leasing, will, or are likely to be, impacted by the proposed road discontinuance, and advising such persons that they can make a written submission relating to the proposed discontinuance. 4. Authorises the Manager of Property & Leasing to undertake the administrative procedures necessary to enable Council to perform its duties and carry out its functions and exercise its powers under section 223 of the Local Government Act 1989 in relation to this matter. 5. Appoints Council to consider and hear any submissions, made in accordance with section 223 of the Local Government Act 1989, at the meeting to be held at Whitehorse Civic Centre Council Chamber 379-399 Whitehorse Road, Nunawading on Monday 12 August 2024 at 7:00pm. 6. Authorises the Manager of Property & Leasing commence the ownership transfer of Volume 11660 Folio 936 and Volume 11660 Folio 937 in accordance with the Corporations Act 2001. 7. Acknowledges that the proposed road discontinuance will not close Beresford Street (as constructed) to vehicle and/or pedestrian traffic. |
Key Matters
Whitehorse City Council (Council) does not own the freehold land that the Mont Albert Station building (the Station) occupies. This means that until Council obtains freehold title Council is unable to grant a lease to a third party to occupy the Station. This is because Council does not currently have a proprietary interest in the land occupied by the Station.
By completing the road discontinuances in accordance with the Local Government Act 1989 and the ownership transfer recommended in this report Council will be able to obtain the required freehold land and consequently Council will then be able to lease the Station because Council will have obtained a proprietary interest.
To preserve community access to the Mont Albert Village Plaza Council will vest a reserve via the Subdivision Act 1988. The recommended road discontinuance will not close Beresford Street, Mont Albert to vehicle and/or pedestrian traffic.
Strategic Alignment
The proposed road discontinuance aligns with the following strategic directions:
Strategic Directions 2
A thriving local economy with high quality accessible education opportunities.
Objective
Council will support and advocate for a diverse range of businesses, to facilitate local investment, education, and employment opportunities.
Strategic Direction 4
A built environment that encourages movement with high quality public places.
Objective
Council will plan, build, renew and maintain community assets and public spaces to meet community needs. We will plan for and facilitate appropriate land use and high-quality development outcomes.
Policy
The Road Discontinuance Policy adopted by Council on 27 May 2024 applies to the road discontinuance components of this matter.
background
Council in its submission to the Level Crossing Removal Project dated 18 February 2021 advocated, to maintain the Station within the Mont Albert Village and that a deck or plaza space to be constructed over the proposed rail cutting. The Mont Albert Village Plaza has been constructed and is open to the public.
In July 2023 the refurbished and reassembled Mont Albert Station building was located on the northern entrance to the Mont Albert Village Plaza and is to be known as 5 Beresford Street, Mont Albert.
The Mont Albert Station building is currently located over four separate titles. With two land titles being road reserve titles, one title being a freehold reserve title and one title being freehold VicTrack land.
Refer Table 1 below and Refer (Attachment 1) Survey Plan.
|
Title Description |
Parcel Description |
Registered Proprietor |
|
Volume 11660 Folio 936 |
Road (R1) LP1031 |
The Colonial Investment & Agency Company Ltd & The Australian Deposit and Mortgage Bank Ltd |
|
Volume 11660 Folio 937 |
Reserve 1 LP1031 |
The Colonial Investment & Agency Company Ltd |
|
Volume 12075 Folio 831 |
Road (R1) LP5015 |
Victorian Rail Track |
|
Volume 12075 Folio 830 |
Lot 1 TP966937K |
Victorian Rail Track |
Table 1: Title & Registered Proprietors Table
The two road titles mentioned above vest in Council as the road authority in accordance with the Road Management Act 2004; this vesting does not grant Council a freehold land ownership. Subject to town planning approval, Council proposes to lease the Mont Albert Station building to a third party.
However, because the Mont Albert Station building is located on land that is not Council freehold land means that the Council does not have a proprietary interest in the land. Consequently, Council is unable to grant a lease to a third party until Council obtains a proprietary interest.
For the two road titles mentioned above Council can obtain freehold land by discontinuing part of the road in accordance with the Local Government Act 1989 and retaining the relevant titles.
However, for Council to obtain ownership of the relevant section of the freehold reserve mentioned above, Council can acquire the freehold title in accordance with Section 601AE(2) of the Corporations Act 2001.
The obtaining of freehold land via the Corporations Act 2001 involves the Australian Securities & Investment Commission (ASIC) because the registered proprietor shown on title is a deregistered company.
The Station building encroaches into freehold land owned by VicTrack. Refer Plan 1.

Plan 1: Profile Plan
Profile Plan Legend:
VT: VicTrack
MTM: Metro Trains Melbourne
WCC: Whitehorse City Council
MIL: Metro Infrastructure Lease (Land that is leased to MTM)
The Level Crossing Removal Project (LXRP) propose to declare the VicTrack land, encroached by Mont Albert Station building as a road in accordance with Section 193 of the Major Transport Projects Facilitations Act 2009.
The land proposed for declaration by the LXRP is the land located between ‘Existing VT (VicTrack) boundary’ and the ‘New VT (VicTrack) boundary, as shown Plan 1 above.
This road declaration by LXRP enables Council to include that land within its road discontinuance proposal; however, it does require parallel processes that will utilise the same public notice. This is because the LXRP have indicated to Council’s lawyers that their approval process will take approximately three months to complete and at the time of writing this report LXRP was yet to commence.
Council Officers recommend that Council commence the road discontinuance in accordance with the Local Government Act 1989, request that the LXRP commence the ownership transfer in accordance with the Major Transport Projects Facilitations Act 2009 and commence obtaining the freehold land via the Corporations Act 2001.
Discussion and Options
The combined processes recommended in this report are the most efficient and timely way for Council to obtain the required freehold title and the required proprietary interest. This process will also enable Council to lawfully execute a lease with a third-party tenant. Refer Plan 2. Road Discontinuance Plan

Plan 2: Road Discontinuance Plan
It is envisaged that if Council resolves, at a future meeting, to discontinue the roads that Council will obtain the required freehold title and required proprietary interest by 31 October 2024.
The other options canvassed with the LXRP involved lengthier timelines and required the approval of other State Government Departments. The LXRP advised that any approvals by other State Government Departments would delay the process by a further six months, meaning that Council was unlikely to obtain the required freehold title and required proprietary interest by 30 June 2025.
Once Council is the registered proprietor, Council will vest in itself land set aside as a reserve on a registered but not certified plan; this is to ensure that community access is preserved in perpetuity.
SUPPORTING REPORT DETAILS
Legislative and Risk Implications
The discontinuance of roads by Council is undertaken in accordance with the Local Government Act 1989 and not the Local Government Act 2020. Consequently, Council is required to publish a Public Notice and consider any submissions relating to that Public Notice in accordance with section 223 of the Local Government Act 1989.
The section 223 process circumvents the community engagement obligations contained within Council’s Community Engagement Policy; however, Council’s Public Transparency Policy, which defines Council’s commitment to the Public Transparency Principles as outlined in section 58 of the Local Government Act 2020, does apply.
Additionally, the section 223 process must not only be “genuine” but must be seen to be “genuine” by the community.
Equity, Inclusion, and Human Rights Considerations
In developing this report to Council, the subject matter has been considered in accordance with the requirements of the Charter of Human Rights and Responsibilities Act 2006.
It is considered that the subject matter does not raise any human rights issues.
Community Engagement
No community engagement was required for this report; however, this report seeks permission to commence a community engagement process in accordance with section 223 of the Local Government Act 1989.
All necessary public authorities will need to be consulted in respect to the proposal, and as mentioned above, any required easements will need to be ‘saved’. The statutory procedures under the Local Government Act 1989 require Council to give public notice of its intention to discontinue the road, and to invite submissions from affected persons and the public under section 223 of the Local Government Act 1989.
The Public Notice of the proposed discontinuance will be given in The Age newspaper and published on Council’s website with a link to Council’s ‘Your Say’ portal.
In addition, all nearby property owners and occupiers and land users will be advised of the proposal in writing and will be informed of their right to make a submission under section 223 of the Local Government Act 1989.
All and any submitters in relation to the proposal may request to be heard by a Committee of Council, prior to a decision being made to proceed or otherwise not to proceed with the proposal.
If Council resolves to commence the road discontinuance processes the timeline is likely to be:
· Wednesday 26 June 2024:
Council publishes the Section 223 public notice.
· Wednesday 24 July 2024
Section 223 public notice closes.
· Monday 12 August 2024
Council hears any Section 223 submissions.
· Monday 26 August 2024
Council resolves to either discontinue or not discontinue.
Financial and Resource Implications
All expenses associated with the statutory process will be borne by the Property & Leasing 2023-2024 and 2024-2025 recurrent budgets and these expenses are estimated to be approximately $35,000 + GST.
Innovation and Continuous Improvement
There are no Innovation and Continuous Improvement matters arising from the recommendation contained in this report.
Collaboration
The recommended actions contained within this report rely on collaboration between Council and the LXRP.
Conflict of Interest
The Local Government Act 2020 requires members of Council staff, and persons engaged under contract to provide advice to Council, to disclose any direct or indirect interest in a matter to which the advice relates.
Council Officers involved in the preparation of this report have no conflict of interest in this matter.
Conclusion
The combined processes recommended in this report are the most efficient and timely way for Council to obtain the required freehold title and the required proprietary interest.
The recommended processes will also enable Council to lawfully execute a lease with a third-party tenant.
The recommended road discontinuance contained within this report will not close Beresford Street, Mont Albert to vehicle and/or pedestrian traffic.
Attachment
1 Survey Plan
10.5 Melbourne East Region Sport and Recreation Fair Access Policy
|
Department |
Leisure and Recreation Services Director Community Services |
Attachment
SUMMARY
This purpose of this report is to present the Melbourne East Region Sport and Recreation Fair Access Policy (the Policy) to Council for adoption.
While Councils existing practices are underpinned by principles of equity and inclusion, the Policy further seeks to address facility access barriers experienced by women and girls, transgender and gender diverse people. Development of a policy that demonstrates gender equitable access to community sports infrastructure by all Victorian local government authorities by 30 June 2024 is a requirement of the State Government.
The Policy has been developed with the Eastern Region Group of Councils, and the City of Monash. Recognising the shared challenges and stakeholders of sport and recreation facility use across the region a consistent approach has been employed.
The Policy’s principles will be embedded into future sport and recreation operational practices, projects, strategy and policy development in Whitehorse. This focus will further support the development of sport and recreation participation for all resulting in positive health and wellbeing outcomes for the community. It will also ensure that Council will remain eligible for future infrastructure funding from the State Government.
|
Moved by Cr Stennett, Seconded by Cr Cutts That Council: 1. Endorses the Melbourne East Region Sport and Recreation Fair Access Policy; 2. Advises key stakeholders of Council’s decision; and 3. Notes that officers will work with the Melbourne East Region Sport and Recreation Strategy Steering Committee to monitor and evaluate the policy over a four-year cycle.
For: Cr Carr, Cr Cutts, Cr Davenport, Cr Lane, Cr Liu, Cr Massoud, Cr Munroe, Cr Stennett (8) Against: Cr Barker, Cr McNeill (2) |
In 2022, the State Government mandated that all Victorian local government authorities develop a policy that demonstrates gender equitable access to community sports infrastructure by 30 June 2024. The endorsed policy is required for local government authorities to remain eligible for infrastructure funding from the State Government.
The Eastern Region Group of Councils (Manningham, Maroondah, Knox, Whitehorse, Yarra Ranges), and the City of Monash have worked together to develop a regional Policy that recognises the shared challenges and stakeholders of sporting facility use across the region. It provides a uniform approach to addressing gender equitable access to sport and recreation facilities.
Council’s existing sport and recreation delivery is underpinned by equity and inclusion principles for people of all genders and supports access for people with a disability. The Policy further addresses known barriers experienced by women and girls, transgender and gender diverse people in accessing and using community sports and recreation infrastructure. It aims to support further identification and elimination of systemic causes of gender inequality in policy, programs, communications, delivery of and allocation of community sports and recreation infrastructure.
The Policy’s six principles of infrastructure, roles in sport, allocation and scheduling, leadership, culture and environment, and reward, celebrate and prioritise will be considered and applied to all functions of Council that support sport and recreation facility delivery in the future including operational practices, policy and strategy development.
Strategic Alignment
This report and the Fair Access Policy align with strategic priorities of Whitehorse City Council. Key strategic alignments include:
Council Plan
· Strategic Direction 3: Our Diverse and Inclusive Community
Strategy 3.1.9: Support gender equality at Council and in the community
· Strategic Direction 4: Our Built Environment; Movement, and Public Places
Strategy 4.2.3: Maximise the usage of Council and Community facilities to improve community access opportunities.
· Strategic Direction 7: Health and Wellbeing
Strategy 7.3.4: Promote participation in local sporting opportunities.
Whitehorse 2040 Community Vision
· Theme 1: Diverse and Inclusive Community
Key priority 1.2: Remove barriers to accessing community services and increase community participation.
· Theme 2: Movement and Public Spaces
Key priority 2.3: Provide active public spaces which are accessible by all, where people feel safe and connected with others in the community.
City of Whitehorse Recreation Strategy 2015-2024
The Policy aligns with the eight principles that underpin Council’s approach to delivering sport and recreation in Whitehorse being:
- Different needs, a range of opportunities, addressing recreation and sport priorities, integration and design of urban infrastructure, universal design, partnerships, facilities, and the natural environment.
Policy
The principles of the Policy will be applied to all upcoming policy and strategy development relating to the delivery of sport and recreation. As an example, Council’s Sporting Facilities Guide which sets the terms and conditions for seasonal sporting clubs’ access of facilities will be reviewed and updated with equitable access as a key consideration.
background
State Government Fair Access Policy Roadmap and the Eastern Region
The Fair Access Policy Roadmap (the Roadmap - Attachment 2) was announced by the Victorian State Government in 2022 in light of findings of the inquiry into Women and Girls in Sport and Active Recreation (2015) that highlighted inequity in community sport and recreation provision.
A significant proportion of government funding into recreation over an extended period has been allocated to traditionally male-dominated activities (e.g., Australian football, cricket, and football - soccer). While there have been recent improvements to female participation levels in these sports, there is still a significant gap in gendered participation in organised sport despite similar overall physical activity levels across all ages.
The key action from the Roadmap was the mandating for all Victorian local government authorities to develop a policy that demonstrates gender equitable access to community sports infrastructure by 30 June 2024. This endorsed policy is required for local government authorities to remain eligible for infrastructure funding from the State Government.
While Whitehorse and other Councils support of the delivery of sport and recreation at all levels and across all functions is already underpinned by principles of equity and inclusion, this initiative from the State Government looks to continue to develop equitable participation at the community level.
To address the State Government mandate, the Eastern Region Group of Councils, and the City of Monash have collaborated and developed a regional Policy that recognises the shared challenges and stakeholders of sporting facility use across the region. It provides a uniform approach to addressing gender equitable access to sport and recreation facilities.
The regional Policy has been adopted by the other partner Councils of the region. Each Council is now working on their approach to implementing the principles of the policy throughout their suite of operational practices, policies and strategic documents that impact sporting infrastructure design, use and access.
Melbourne East Region Sport and Recreation Fair Access Policy
Supporting existing equitable sport and recreation delivery practices, the Policy addresses known barriers experienced by women and girls, transgender and gender diverse people in accessing and using community sports and recreation infrastructure. It aims to progressively build the capacity and capabilities of Councils and associated stakeholders to identify and eliminate systemic causes of gender inequality in policy, programs, communications, delivery of and allocation of community sports and recreation infrastructure.
The implementation of the Policy looks to achieve towards the following vision:
- Women and girls, transgender and gender diverse people in the Melbourne East Region will have equal participation, access, power, and resources in sport.
The Policy framework aligns with the State Government’s six guiding principles under the Roadmap. These principles and their aims in relation to women and girls, transgender and gender diverse people are:
· Principle 1 – Infrastructure
Community sports and active recreation infrastructure are to be genuinely welcoming, safe, and inclusive.
· Principle 2 – Roles in Sport
Proactive encouragement of participation in all aspects of community sport and active recreation including as a player, coach, administrator, official, volunteer and spectator.
· Principle 3 – Allocation and Scheduling
Fair access to and use of community sport and recreation infrastructure which is of the highest quality, at the most convenient location and times and includes new opportunities and sports.
· Principle 4 – Leadership
Equitable representation in leadership and governance roles.
· Principle 5 – Culture and Environment
Encouragement and support of all user groups who access community sport and active recreation infrastructure to understand, adopt and implement gender equitable access and use practices that are genuinely welcoming, safe, and inclusive.
· Principle 6 – Reward, Celebrate and Prioritise.
Reward, celebrate and prioritise access, use and support to all user groups who demonstrate ongoing commitment to gender equitable access and use of allocated infrastructure.
While the Policy is an initiative with actions and responsibilities falling to the respective Councils, meaningful success relies upon an all-of-industry commitment from stakeholders including local clubs, associations, and other levels of government to implement change within their spheres of influence.
Application of the Policy in the City of Whitehorse
Whitehorse City Council will further implement equitable facility access through activities that address the six principles of the Policy. These actions will be implemented across a variety of functions undertaken collaboratively by a variety of departments and in partnership with other stakeholders such as sporting clubs and associations.
Progress and success against this Policy will be reported to Council, the Melbourne East Region of Councils, Sport and Recreation Victoria and other relevant bodies as required. Officers will work with the Melbourne East Region Sport and Recreation Strategy Steering Committee to monitor and evaluate the policy over a four-year cycle.
|
Key functions of Council impacting the delivery of sport and recreation |
Applying the Fair Access Policy
|
|
Council strategic policy development and infrastructure program delivery |
Principles of this policy as well as Gender Impact Assessments and their recommendations actioned in planning, design, and delivery of all projects to provide improved outcomes. Consultation on projects proactively targets diverse involvement in planning activities |
|
Council’s Capital Works Program |
Projects providing equitable outcomes through female-friendly, support of those with a disability and universal design considerations are prioritised. Advocacy and grant applications only for venues supporting inclusive participation. |
|
Pavilion Development Policy and other building guidelines |
Scope of design of pavilions and other recreation facilities support growing diverse participation (components such as all-gender amenities, family change areas, access for all abilities). |
|
Active Communities operational delivery, stakeholder relationships & Club Development approach |
Increased collection of demographic data by gender for greater community participation insights and use. Proactive support of clubs to build their capacity to deliver equitable outcomes and grow diverse participation in all aspects of community recreation. Building partnerships with external providers such as not-for-profits to help facilitate this. Support equitable scheduling of competition/training, participation growth strategies, Codes of Conduct. Celebrate the achievements of and rewarding best practice clubs. |
|
Facility agreements review (Sporting Facilities Guide, Standard Lease Template) |
Support inclusive and welcoming club environments. Club and Council responsibilities for pavilion and other facility components that support community participation for all. Mandate of equitable access for all. |
|
Sports Fields and Pavilions Allocations Policy (as part of SFG) |
Priority to users who can demonstrate gender equitable facility use and access, good governance, and a focus on developing female participation. Prioritisation criteria for competing facility demands - which facilities, at what times, for whom. |
|
Sports Fields and Pavilions Contributions (Fees & Charges) - Review |
Consideration of financial incentives for gender equitable practices, good governance, and club behaviours. |
|
Recreation and Open Space Development project priorities |
Prioritisation criteria for projects funded and delivered are updated to better reflect equitable access and reward users that actively prioritise diverse participation. |
|
Social and other Policy updates and development (e.g., Gambling) |
Support the operation of inclusive, family-friendly environments for diverse participants through policy frameworks that aim to reduce factors that can negatively impact upon club environments. |
Discussion and Options
Should Council elect not to adopt the regional Policy, it is understood that despite employing equitable and inclusive practices throughout its practical delivery of sport and recreation already, the State Government would deem Council as non-compliant against the Roadmap’s mandate, and Council would become ineligible for infrastructure funding as of 30 June 2024.
An alternative option could be to develop a standalone Fair Access Policy or redevelop existing facility access policies such as the Sporting Facilities Guide to a level that is deemed to satisfy the mandate of the Roadmap. The complexity of these projects and their required stages of consultation and policy development would result in missing the State Government’s deadline by a significant period.
It is believed that the endorsement of a regional principle-based policy that satisfies the Roadmap provides an ideal platform for future implementation of equitable access activities in individual Councils.
SUPPORTING REPORT DETAILS
Legislative and Risk Implications
There are no legal implications arising from the recommendation contained in this report.
There are some reputational risks for Council should it not resolve to adopt the Policy, as it has been endorsed as attached by all the Councils of the Eastern Region and Monash. There is also some financial risk for Council as failure to endorse an equitable facility access policy by 30 June 2024 would render Whitehorse ineligible for State Government funding for sport and recreation infrastructure.
Equity, Inclusion, and Human Rights Considerations
The MERSR Fair Access Policy meets Council’s obligations to gender equality under the Sex Discrimination Act 1984 (Cwth), Equality Opportunity Act 2010 (Vic) and Gender Equality Act 2020 (Vic). A gender impact assessment was carried out early in the process of developing the regional policy. Given the nature of the content, addressing gender impacts has been a key factor influencing the Policy.
The policy has been reviewed against the requirements of the Charter of Human Rights and Responsibilities Act 2006 (Vic) and is considered to not adversely impact upon human rights.
Community Engagement
Consultation to inform the development of this policy has occurred between participating Councils and internally with relevant Council departments. Sporting club and association stakeholders have been made aware at a high level of the ongoing approach to meeting the State Government mandate.
Following endorsement, Whitehorse sporting stakeholders will be provided with significant consultation opportunities on a project-by-project basis throughout the implementation of the Policy. Clubs, associations and the broader community will be able to address and influence items that impact upon their own delivery of sport and recreation in Whitehorse and will be supported by Council officers in this. All other partner Councils have endorsed their policy with this consistent approach.
Hybrid and online education sessions across the region have and are to be undertaken on 17 June and 26 June to inform clubs of the Policy and likely implications for their activities. Officers will further provide information to Whitehorse clubs about the local approach to implementing the action plan.
Council officers will further prioritise club, association and other user group education and training related to Fair Access in the first 12 months following adoption of this regional policy. This will support stakeholders to understand the implications and opportunities for their organisations in relation to the Policy. Given the shared rollout of equivalent policy and implementation activities with neighbouring Councils, regional approaches will be explored from a resourcing perspective to increase and maximise available support for clubs and associations across the region.
Financial and Resource Implications
There are no financial or resource implications immediately arising from the recommendations contained in this report. Broadly, implementation of actions that apply the principles of this Policy across Council will be drawn from existing resources or as part of the budgets of committed projects and initiatives aligned to Council’s long-term financial plans.
Innovation and Continuous Improvement
There are no Innovation and Continuous Improvement matters arising from the recommendation contained in this report.
Collaboration
As described throughout this report, the Policy has been developed in close collaboration with the Councils of the East Region (Knox, Manningham, Maroondah and Yarra Ranges) and the City of Monash.
Regular support has been sought from and provided by representatives of the State Government via the Office for Women in Sport and Recreation as part of the Department of Jobs, Skills, Industry and Regions to ensure development of the Policy meets the compliance requirements of the Roadmap.
Conflict of Interest
Council officers involved in the preparation of this report have no conflict of interest in this matter.
Conclusion
Adopting a regional Fair Access Policy will provide a strong principle-based platform to further support gender equitable facility access in the City of Whitehorse and contribute to in an increase in health and wellbeing outcomes for the whole community. Adoption of the Policy will meet the State Government mandate for all Victorian local government authorities to develop a policy that demonstrates gender equitable access to community sports infrastructure by 30 June 2024.
Attachment
1 Melbourne East Region Sport and Recreation Fair Access Policy
2 Victoria State Government Fair Access Policy Roadmap
10.6 Strategic Internal Audit Plan 2024-26 (2024-25 Focus)
|
Department |
Governance and Integrity Director Corporate Services |
Attachment
Victorian Councils are required to establish an Audit and Risk Committee (ARC) as per the Local Government Act 2020. An ARC provides important independent oversight of financial, performance, risk and management reporting, and system of internal control.
There are a number of functions and responsibilities of the ARC including overseeing internal and external audits.
Each year an internal audit program is developed and endorsed by the ARC and approved by Council.
HLB Mann Judd, Council’s Internal Auditor, in consultation with the staff from the Leadership Team has developed the Strategic Internal Audit Plan (SIAP) (attached) for 2024-26 with a focus on the 2024-25 financial year.
The Council’s ARC Charter requires approval of the SIAP by Council.
At its meeting on 20 May 2024, ARC reviewed and endorsed the SIAP and has requested Council approval as required under the Charter.
|
Moved by Cr Barker, Seconded by Cr Davenport That Council approves the Strategic Internal Audit Plan for 2024-26 |
HLB Mann Judd has been serving as Council’s internal auditor since 1 July 2023. HLB Mann Judd met with staff to:
· Gain an understanding of the organisation, high level priorities, and strategic perspective.
· Discuss key expectations and responsibilities.
· Understand the risk appetite of Council and the ARC; and
· Identify key issues, risks, challenges and opportunities facing Council.
Following the meetings and in consultation with staff, the leadership team and ARC, HLB Mann Judd developed the SIAP. The SIAP was reviewed and endorsed by the ARC. This is now presented to the Council for approval and adoption.
Internal Audit Program 2024/25
The Internal Audit Program focuses on areas considered higher risk to Council to maximise the effectiveness of the internal audit function. The following internal audit activities are proposed for 2024/25:
|
Area |
Internal Audit Activity |
Hours |
Start Date |
|
Internal Audit Projects |
|||
|
Information Technology |
Data Governance/Cyber (Victorian Protective Data Security Standards) Part 2 |
90 |
Aug-24 |
|
Organisation-wide Audits |
Customer Service – Complaints Management (customers/members of the community) |
110 |
Sep-24 |
|
Transformation Program (with specific focus on Benefits Realisation) |
110 |
Nov-24 |
|
|
Governance |
Risk Management Framework (ISO 31000:2018) (incl. awareness survey) |
120 |
Feb-25 |
|
Financial Systems and Controls |
Procurement and Tendering |
140 |
Apr-25 |
|
Continuous Reviews |
Follow Up Audit (Completed Actions Only) |
50 |
Jun-25 |
|
Internal Audit Management |
|||
|
Internal Audit Management |
Development of the Internal Audit Plan |
25 |
|
|
Preparation for and attendance at ARC meetings |
20 |
|
|
|
Total Hours |
665 |
|
|
Strategic Direction 1: An innovative Council that is well led and governed.
Internal Audit Charter.
Audit and Risk Committee Charter.
One of the roles of the ARC is to review and monitor the annual internal audit program including receiving of audit scopes and final reports.
As per the ARC Charter, the ARC recommends approval of the annual plan by the CEO for adoption by Council. The Chair of the ARC reports to Council on the Committee’s activities on a six-monthly basis.
Discussion and Options
The SIAP has been reviewed and endorsed by Leadership team and ARC. The SIAP is approved by Council annually.
SUPPORTING REPORT DETAILS
Legislative and Risk Implications
The Internal Audit program forms part of the functions and responsibilities of the ARC as per section 54(2) of the Local Government Act 2020.
The Council’s internal audit is an independent, objective assurance function designed to add value and improve Council operations. It helps Council accomplish its objectives by bringing a systematic, disciplined approach to evaluate and improve the effectiveness of risk management, control, and governance processes.
Equity, Inclusion, and Human Rights Considerations
It is considered that the subject matter does not raise any human rights issues. Community Engagement
No community engagement was required for this report.
Financial and Resource Implications
The cost of the internal audit service per annum is expected to be $83,125 (excluding GST), increasing by the rate cap.
Innovation and Continuous Improvement
Internal audits identify how well risks are managed and whether the right controls and processes are in place, and whether agreed procedures are being adhered to. Internal Audits can also identify areas for improvement or where innovations might be made.
Collaboration
Collaboration on potential audit scope and timing will take place once the SIAP is approved by the Council.
Conflict of Interest
Council officers involved in the preparation of this report have no conflict of interest in this matter.
Conclusion
The SIAP has been reviewed and endorsed by the ARC.
The SIAP includes a number of key internal audits for the 24/25 financial year in support of oversight and assurance to Council.
1 Strategic Internal Audit Plan 2024-26 (2024-25 Focus)
10.7 Records of Informal Meetings of Councillors
|
Department |
Governance and Integrity Manager Governance and Integrity |
|
Moved by Cr Munroe, Seconded by Cr Lane That Council receives and notes the Records of Informal Meetings of Councillors. |
|
Pre-Council Meeting – 27 May 2024 – 6.30pm – 6.45pm |
||
|
Matter/s Discussed: · Council Agenda Items – 27 May 2024 |
Councillors Present |
Officers Present |
| Cr Massoud (Mayor) |
S McMillan |
|
| Cr
Davenport (Deputy Mayor) |
S Cann |
|
| J Green | ||
|
Cr Barker |
L Letic |
|
|
Cr Carr |
S White |
|
|
Cr Cutts |
S Sullivan |
|
|
Cr Lane |
V Ferlaino |
|
|
Cr Liu |
S Fotia |
|
| Cr McNeill |
R Johnston |
|
| Cr Munroe |
K Woods |
|
| Cr Skilbeck |
|
|
| Cr Stennett |
|
|
|
Others Present: Nil |
||
|
Disclosures of Conflict of Interest: Cr Massoud declared a general conflict of interest in Council Agenda item 10.1 – 3 Deanswood Road, Forest Hill (LOT 1 TP 251388) Buildings and works to construct a double storey dwelling, works within four (4) metres of vegetation and tree removal as the property is close to her residence. |
||
|
Councillor /Officer attendance following disclosure: |
||
|
Cr Massoud left the Meeting at 6.38pm prior to the discussion and did not return. |
||
|
Special Councillor Briefing – 03 June 2024 – 6.30pm – 7.25pm |
||
|
Matter/s Discussed: · 2024/2025 Budget |
Councillors Present |
Officers Present |
| Cr Massoud (Mayor) |
S McMillan |
|
| Cr
Davenport (Deputy Mayor) |
S Cann |
|
| J Green | ||
|
Cr Barker |
S White |
|
|
Cr Carr |
V Ferlaino |
|
|
Cr Cutts |
L Bracey |
|
|
Cr Lane |
C Bolitho |
|
|
Cr Liu |
C Clarke |
|
| Cr McNeill |
K Woods |
|
| Cr Munroe |
N Brown |
|
| Cr Skilbeck |
Z Quinn |
|
| Cr Stennett |
|
|
|
Others Present: Nil |
||
|
Disclosures of Conflict of Interest: Nil |
||
|
Councillor Briefing – 17 June 2024 – 6.30pm – 9.12pm |
||
|
Matter/s Discussed: · Strategic Property Program Update · Current Councillor Budget Requests - Review · Council Agenda Items – 24 June 2024 |
Councillors Present |
Officers Present |
| Cr Massoud (Mayor) |
S McMillan |
|
| Cr Davenport
(Deputy Mayor) |
S Cann |
|
| J Green | ||
|
Cr Barker |
S White |
|
|
Cr Carr |
S Sullivan |
|
|
Cr Cutts |
C Clarke |
|
|
Cr Lane |
V Ferlaino |
|
|
Cr Liu |
N Brown |
|
| Cr McNeill |
K Woods |
|
| Cr Munroe |
F Nolan |
|
| Cr Skilbeck |
|
|
| Cr Stennett |
|
|
|
Others Present: Nil |
||
|
Disclosures of Conflict of Interest: Nil |
||
11 Councillor Delegate and Conference / Seminar Reports
11.1 Reports by Delegates and Reports on Conferences / Seminars Attendance
|
Department |
Governance and Integrity Director Corporate Services |
Verbal reports from Councillors appointed as delegates to community organisations/committees/groups and attendance at conferences and seminars related to Council Business.
· Councillor Tina Liu attended the Eastern Transport Coalition board meeting on 20 June 2024.
· Councillor Trudy Skilbeck attended the Governance Institute of Australia State Forum: Leaning into Transformation and Change on 28 May 2024.
· Councillor Mark Lane attended the Whitehorse Business Group board meeting on 11 June 2024.
· Councillor Prue Cutts attended the Environment and Sustainability Reference Group meeting on 12 June 2024.
· Councillor Amanda McNeill attended Metropolitan Transport Forum and the Whitehorse Disability Advisory Committee meeting on 5 June 2024.
· Councillor Denise Massoud attended:
- the Whitehorse Disability Advisory Committee meeting on 5 June 2024
- a Whitehorse Business Group networking dinner on 7 June 2024;
- the Environment and Sustainability Reference Group meeting on 12 June 2024.
- a Combined Residents of Whitehorse Action Group (CROWAG) presentation Managing Our Urban Forests on 19 June 2024
- the Whitehorse Backyard Eco-adventure Expo with Beau Miles held at the Round to celebrate World Environment Day on 23 June 2024.
|
Moved by Cr Cutts, Seconded by Cr Liu That Council receives and notes the: 1. Reports from delegates, and; 2. Reports on conferences/seminars attendance. |
12 Confidential Reports
Nil
The Council Meeting was closed at 9.59pm.
These minutes are circulated subject to confirmation by Council at the next Council Meeting to be held on 8 July 2024.